Lluvias de “Priscilla” podrían llegar a Sonora

SUCESOS EN LINEA

Hermosillo, Sonora.- Lunes, basándose en la valoración y análisis de la información meteorológica en general y con base en información del Servicio Meteorológico Nacional y diferentes fuentes oficiales de los Estados Unidos, la Coordinación Estatal de Protección Civil emite el siguiente pronóstico:

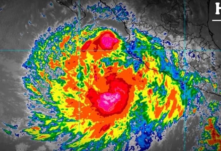
Se mantiene en vigilancia sobre el Océano Pacifico el ciclón tropical “Priscilla”. Se espera que se mantenga desplazándose paralelo a la costa occidente de México hacia el noroeste del país. Sus bandas nubosas podrían ocasionar algunas lluvias sobre el estado de Sonora en el periodo que comprende los dias 11 a 12 de octubre.

A su vez, una nueva zona de baja presión empieza a desarrollarse sobre dicho océano. Se mantiene en vigilancia su desarrollo y al momento presenta un 60% de probabilidad para los próximos 7 días.

#Hermosillo amaneció con una temperatura mínima de 21°C con una humedad relativa del 45%, se espera para hoy un valor máximo de 38°C. Se podrían presentar vientos promedios de 10 km/h con rachas de 40 km/h.
Cielos mayormente despejados y 0% de probabilidad de precipitación.

#CiudadObregón amaneció con una temperatura mínima de 22°C con una humedad relativa del 30%, se espera un valor máximo de 38°C. Se podrían presentar vientos promedios de 10 km/h con rachas de 40 km/h.
Cielos despejados y 0% de probabilidad de precipitación.

#Nogales amaneció con una temperatura mínima de 11°C con una humedad relativa del 55%, se espera un valor máximo de 28°C. Se podrían presentar vientos promedios de 10 km/h con rachas de 60 km/h.
Cielos despejados y 0% de probabilidad de precipitación.

#SanLuisRíoColorado amaneció con una temperatura mínima de 17°C con una humedad relativa del 35%, se espera un valor máximo de 33°C. Se podrían presentar vientos promedios de 15 km/h con rachas de 55 km/h.
Cielos despejados y 0% de probabilidad de precipitación.

#Navojoa amaneció con una temperatura mínima de 25°C con una humedad relativa del 60%, se espera un valor máximo de 28°C. Se podrían presentar vientos promedios de 10 km/h con rachas de 40 km/h.
Cielos despejados y 0% de probabilidad de precipitación.

#AguaPrieta amaneció con una temperatura mínima de 13°C con una humedad relativa del 45%, se espera un valor máximo de 32°C. Se podrían presentar vientos promedios de 10 km/h con rachas de 40 km/h.
Cielos despejados y 0% de probabilidad de precipitación.

#Guaymas amaneció con una temperatura mínima de 26°C con una humedad relativa del 50%, se espera un valor máximo de 34°C. Se podrían presentar vientos promedios de 15 km/h con rachas de 60 km/h.
Cielos despejados y 0% de probabilidad de precipitación.


SUCESOS EN LINEA